🔸 Autoridades estadounidenses señalaron presuntas irregularidades en la venta de entradas para la Copa del Mundo, incluyendo...
admin
🔸 El futbol mexicano cerró la temporada 2025-2026 con cifras positivas en asistencia, audiencia y competitividad, de...
🔸 La influencer persiguió a los elementos de seguridad hasta la Fiscalía y declaró a favor de...
🔸 La banda surcoreana se presentará el próximo 25 de septiembre en el GNP Seguros #ESPECTÁCULOS |...
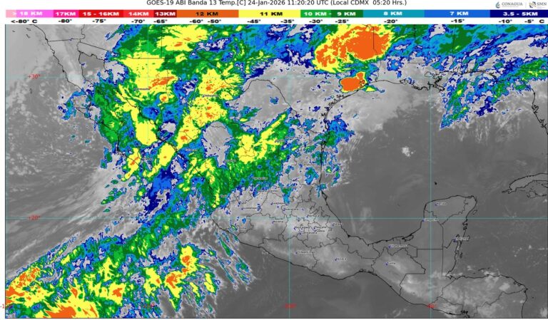
🔸Un frente frío sobre el noroeste del territorio nacional propiciará lluvias aisladas en zonas de Baja California. #NACIONAL🇲🇽...
🔸 La titular del Poder Ejecutivo, Margarita González Saravia, inauguró un nuevo Centro LIBRE en el municipio...
🔸 Con transmisiones listas y meseros capacitados en inglés, el sector local busca capitalizar el impacto económico...
🔸 El actor y productor de televisión espera un doble trasplante de pulmón debido a complicaciones por...
🔸 Entre los dictámenes debatidos ayer, la mayoría oficialista en San Lázaro aprobó en lo general la...
🔸 El diputado subrayó que la comisión será una instancia integrada por cinco consejeros o consejeras y...
